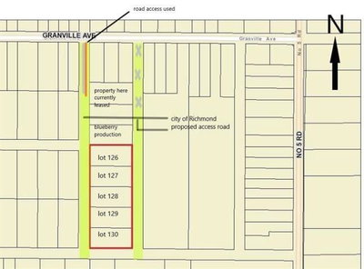
6860 Sidaway Road, Richmond, V6W 1H1 — For sale @ $2,988,000