
View all 1 photos
For sale
$55K on Apr 07
$270,000
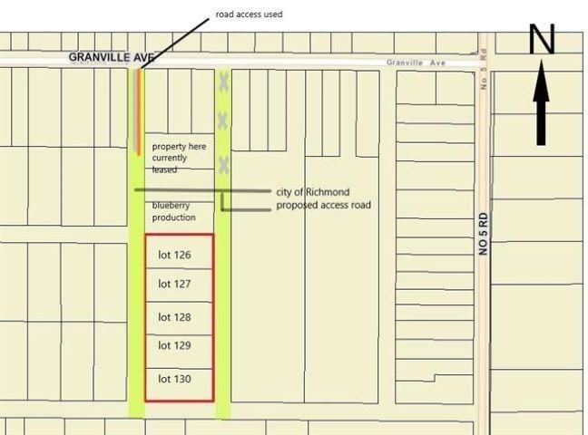
$325,000LOT 129 Granville Avenue, Richmond, V6Y 1R6
- 0 Beds
- Baths

For sale
$55K on Apr 07
180 days
On Market
Vacant Land
Property Type
$0 / Year
Est. Taxes
Other
Style
-
Garage
-
Basement
Comparable properties in the same area and price range as LOT 129 Granville Avenue, Richmond, V6Y 1R6