

View all 2 photos
Expired
$•••,•••
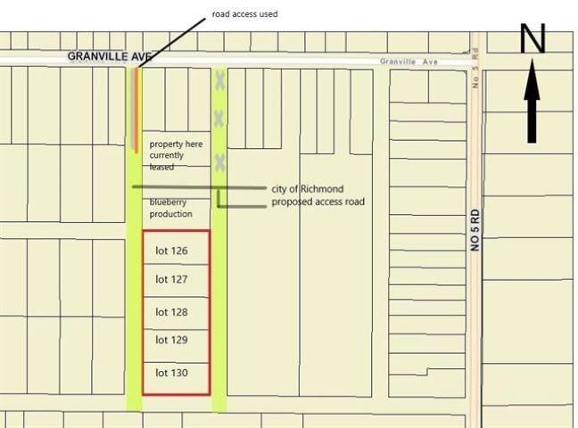
LOT 129 Granville Avenue, Richmond, V6Y 1R6
- - Beds
- Baths
6 months
On Market
Vacant Land
Property Type
$744 / Year
Est. Taxes
Other
Style
-
Garage
-
Basement
Comparable properties in the same area and price range as LOT 129 Granville Avenue, Richmond, V6Y 1R6
18 min walk • 1.56 km away
60 min walk • 5.01 km away
14 min walk • 1.24 km away
99 min walk • 8.33 km away