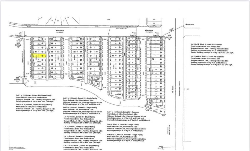
4425 72 Street, Camrose, T4V 2P7 — For sale @ $157,100