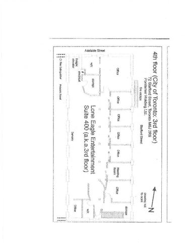
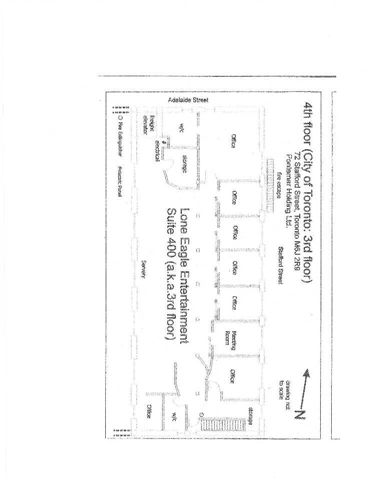
4th Fl - 72 Stafford St, Toronto, M6J 2R8 — For lease