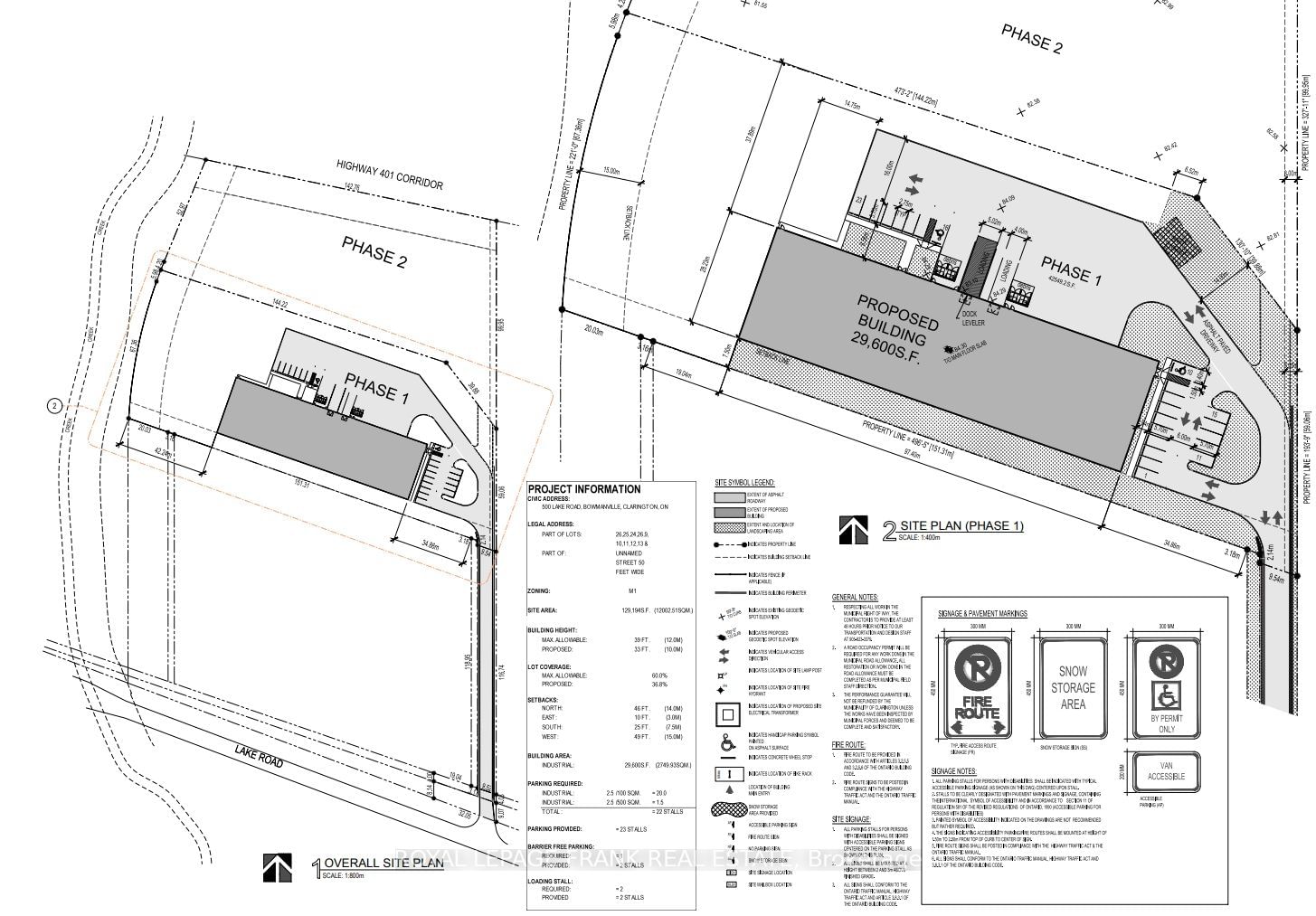
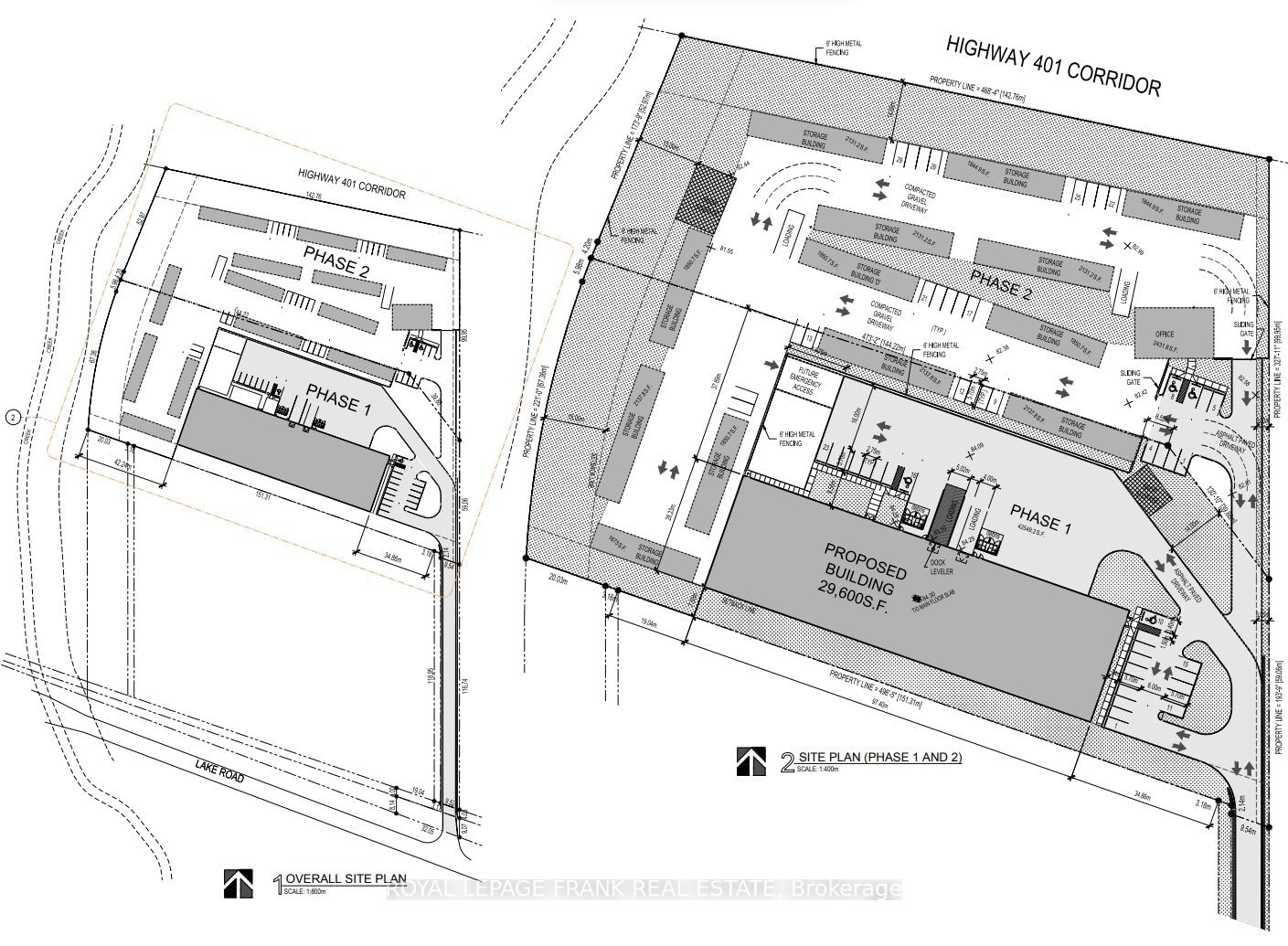
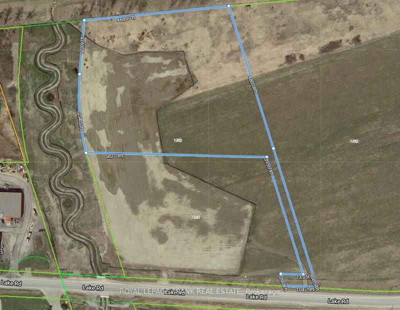
(A) - 540 Lake Rd, Clarington, L1C 3K5 — Sold