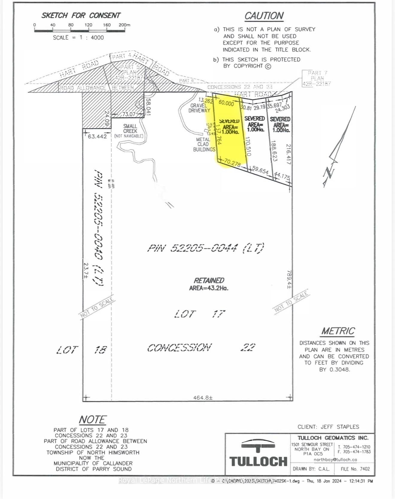
CON 22 PT LOT 17 HART Rd, Callander, P0H 1H0 — For sale