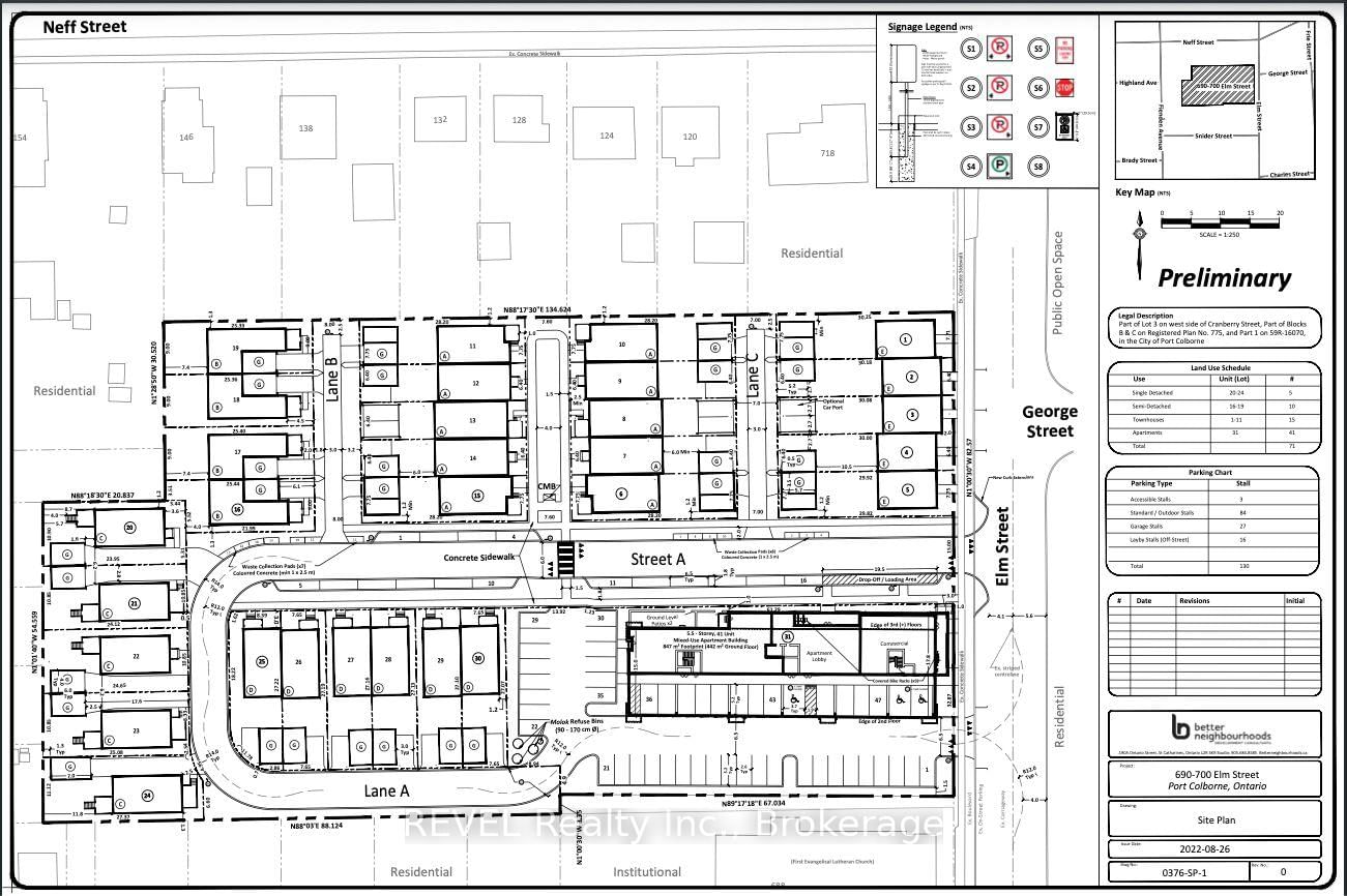
690-700 Elm St, Port Colborne, L3K 4R1 — For sale @ $2,999,900