
View all 1 photos
Expired
$••,•••
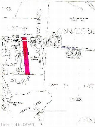
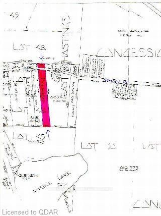
0 Quarry Rd, Bancroft, K0L 1C0
- - Beds
- - Baths
5 months
On Market
Vacant Land
Property Type
$0 / Year
Est. Taxes
-
Style
-
Garage
-
Basement
BOWES & COCKS LIMITED, Brokerage - Disclaimer: The information contained in this listing has not been verified by BOWES & COCKS LIMITED, Brokerage and should be verified by the buyer.
Data is deemed reliable but not guaranteed accurate by TRREB.
27 min walk • 2.33 km away
181 min walk • 15.15 km away
42 min walk • 3.53 km away