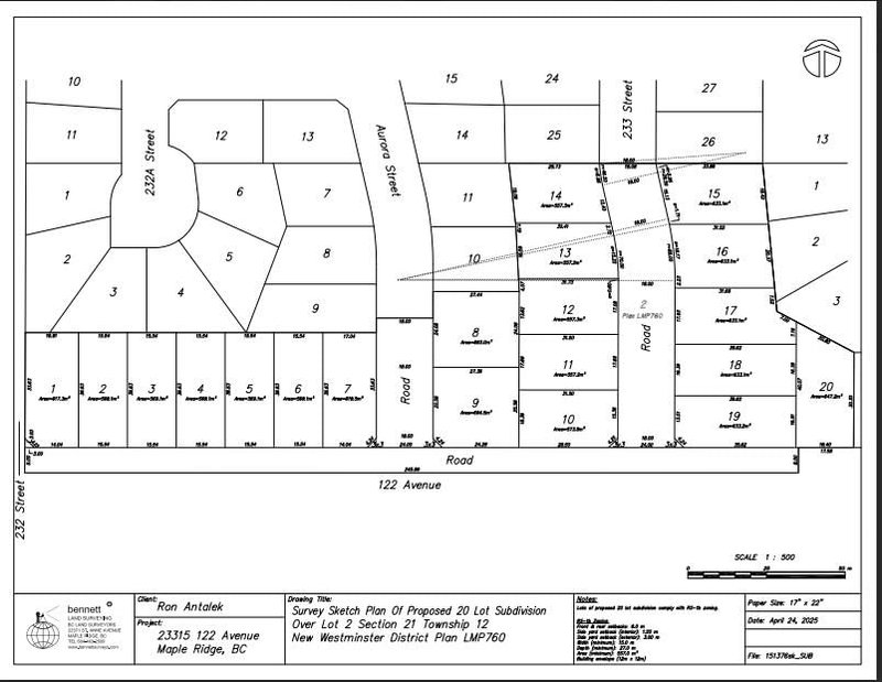
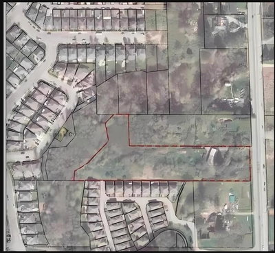
23315 122 Avenue, Maple Ridge, V2X 3Y5 — For sale @ $11,999,000