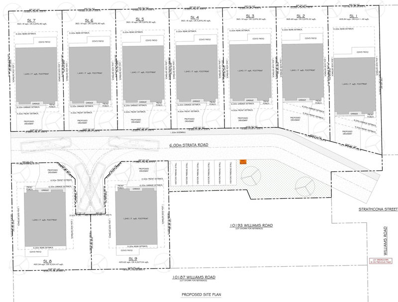
Sale: 46193 Strathcona Road, Chilliwack, V2P 3T1