


Terminated
$•,•••,•••
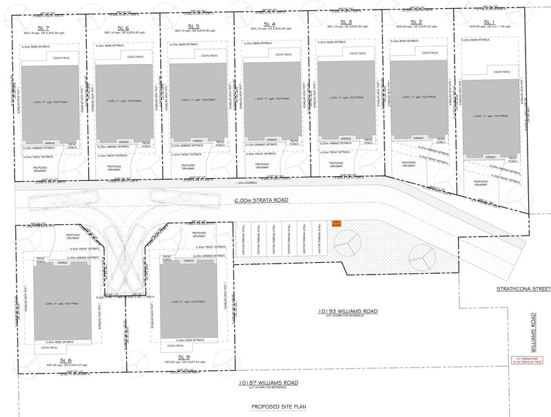
10195 Williams Road, Chilliwack, V2P 5H3
- - Beds
- Baths
8 months
On Market
House/Single Family
Property Type
$5,426 / Year
Est. Taxes
4 Level Split,Other
Style
-
Garage
Fully Finished,Separate Entry
Basement
Comparable properties in the same area and price range as 10195 Williams Road, Chilliwack, V2P 5H3
5 min walk • 0.47 km away
100 min walk • 8.36 km away
18 min walk • 1.53 km away
14 min walk • 1.21 km away
45669 Yale Road, Chilliwack BC, V2P 2N1
Visit schools website41 min walk • 3.45 km away