



















Terminated
$•,•••,•••
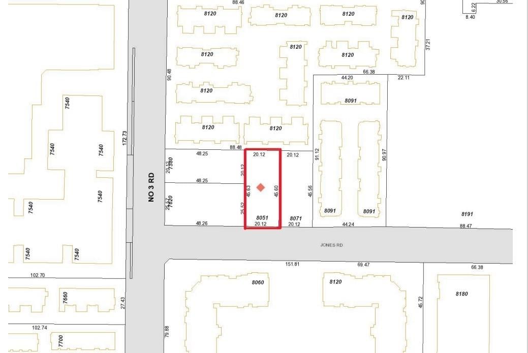
8051 Jones Road, Richmond, V6Y 1L5
- - Beds
- Baths
3 months
On Market
House/Single Family
Property Type
$7,444 / Year
Est. Taxes
1 Storey
Style
-
Garage
None
Basement
2 min walk • 0.2 km away
26 min walk • 2.2 km away
7 min walk • 0.62 km away
104 min walk • 8.74 km away
Comparable properties in the same area and price range as 8051 Jones Road, Richmond, V6Y 1L5